Amenazadas por inundaciones zonas de impacto del huracán Laura en EE.UU. (+Video)
especiales

Las inundaciones por la marejada ciclónica, que se mantendrían por varios días tierra adentro e insalvable para quienes no cumplieron las órdenes de evacuación, es lo peor por venir tras tocar tierra el huracán Laura esta madrugada por el pequeño pueblo de Cameron, en Louisiana.
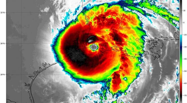
Laura entró por Cameron a la una de la mañana del jueves, con categoría cuatro, mientras azotaba la costa del Golfo de México durante horas con vientos de 240 kilómetros por hora, aguaceros torrenciales y marejadas.
Tras su ingreso a territorio continental estadounidense, Laura se debilitó a categoría tres y pasó ya a la número uno, sigue desplazándose hacia el norte y en su trayectoria pronosticada se moverá tierra adentro a través de Louisiana y llegará al estado de Arkansas esta noche.
Laura se desplazaría mañana sobre el valle central de Mississippi, debilitado a depresión tropical.
Pero el Centro Nacional de Huracanes de Estados Unidos advirtió que los impactos potencialmente catastróficos continuarán y alertó en particular sobre un grave peligro para la región costera impactada inicialmente por Laura, las marejadas que penetraron en el interior desde la línea costera, porque básicamente todo en esa zona es marisma, es decir, un ecosistema de terreno pantanoso.
También se espera que esas inundaciones no retrocedan del todo en varios días, y que las aguas se desborden también en los valles de los ríos Misisipi, Ohio y Tennessee.
Las inundaciones previstas amenazan en particular la vida de quienes no se marcharon, en una zona costera que ya vivió el paso devastador del huracán Rita en el 2005.
El vicegobernador de Louisiana, Billy Nungesser, pidió rezar por cualquiera que se haya quedado tan cerca de la costa, porque mirando la marea de la tormenta, habría pocas posibilidades de sobrevivir, según declaró esta mañana al programa Good Morning America de la ABC.
Se espera que quienes quedaron varados o se negaron a evacuar puedan ser rescatados en el transcurso del día de hoy, pero se teme que las carreteras bloqueadas, los cortes en las líneas eléctricas y las inundaciones obstaculicen esas labores.
Al mismo tiempo, las autoridades instaron a los residentes evacuados a dar tiempo a las cuadrillas para despejar las carreteras antes de regresar a sus hogares, por lo peligroso de conducir en medio de los cables con corriente caídos, los árboles derribados y escombros al azar.
Hasta ahora se conoce de la muerte de una niña de catorce años, quien pereció cuando un árbol cayó sobre su casa en la localidad de Leesville, en Luisiana.
Las autoridades de ese estado y del vecino Texas remarcaron que todavía están evaluando los daños de Laura, y es probable que el número de víctimas aumente considerablemente, pues se han recibido informes de fallecimientos.
También es previsible que Laura genere tornados este jueves sobre Luisiana, el sureste de Texas y el suroeste de Misisipi y que deje caer de 127 a 254 milímetros de lluvia sobre la región.
Los huracanes y las tormentas tropicales que tocan tierra en el Golfo de México tienen más probabilidades de producir tornados en comparación con las tormentas en el Atlántico, según alertó el meteorólogo de la CNN, Brandon Miller.
Laura pasó a figurar ya entre las diez tormentas más fuertes en la historia de Estados Unidos.













Añadir nuevo comentario